Menu
HOME

30.78 WOODED ACRES IN CROSS JUNCTION, VA

BRUSH CREEK ROAD, CROSS JUNCTION, VA

$299,900

OVER 30 WOODED ACRES OF LAND IN FREDERICK COUNTY, VIRGINIA

Type

LAND

Agent

CEDAR CREEK REAL ESTATE

30.78 ACRES

DESCRIPTION

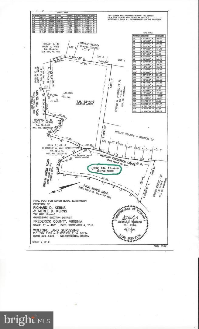
Unrestricted and unique , this 30+ acre wooded site is a 20 minute drive north of Winchester in Cross Junction, Virginia.

The land is sandwiched between two state roads. You have to drive the ridge to appreciate what the land has to offer for recreation (the hunting is fantastic), potential for building and taking in the beauty of the tall hardwoods. The ridge does fall off on both sides to the roads down below, but the peacefulness and rural feel will appeal to you.

This parcel has been surveyed and is across the road from the parent tract of 87+ acres, where the owners reside. The property is subject to approval to be subdivided from the parent tract. The land is in "Land Use" for tax relief benefits. The future Buyer will assume any rollback tax that may be associated with future subdivision of this 30 acres. Ask about the details. Please take a copy of the plat and tax map along with you and let the Listing Agent know if you plan to visit the property during hunting season.

  • Directions to Brush Creek Rd #30+ ACRES, Cross Junction, VA 22625 from Winchester:
    Take Rt.37 & Rt.522N, drive approximately 14 miles to Old Chapel Rd (on your right),
  • Turn right onto Old Chapel Rd, drive approximately 1..5 miles, watch for Sign and Access path on your left (between Morgan-Frederick Grade and Pack Horse Rd).
  • Brush Creek Rd extends from Old Chapal, and access to the ridge of the land is at that entrance path just before Pack Horse.
  • From the beginning of Pack Horse Rd., the land extends the left side until you come to an open field. From the beginning of Morgan Frederick Grade, the land extends the right side until you come to a culvert under the road that pours out a wet weather stream. Each side extends over 2000 ft. from Brush Creek/Chapel Hill Rds.

This website uses cookies to ensure you get the best experience on our website. By clicking Accept All, you consent to our use of cookies. Cookie Policy